鼻子低而鼻翼稍微宽时隻要通过隆鼻术就可以达到鼻翼缩小的效果;但是鼻翼很宽的人,需进行鼻翼缩小术才能使整个鼻子变小而显得成熟。
一、实施手术之前,应常规检查凝血功能,对疾病所致鼻子畸形应先行治疗疾病,消除病原。鼻局部有感染者也应先治疗。
二、手术最好在患者成年后实施,因修补太早,面部发育后,修补之鼻还可能再为畸形。
三、塌鼻严重者皮肤及软组织向上凹缩,遇此情形,必分期手术,先将鼻部分离,移至正常位置,再植入填补物。
四、手术时灭菌必须严格,如有感染,填充物将坏死脱出。
五、置入填充物之前,应注意分离层次及腔穴大小,对称性,分离后所成腔隙应适於填充物之安置,不可太紧,也不可过鬆。
六、根据鼻梁等塌陷处的形状、大小,置入适当填充物,然后缝合伤口,固定鼻外形。手术后应注射青霉素预防感染。

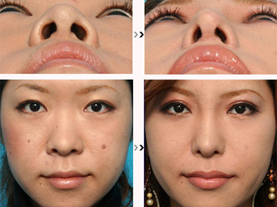
鼻翼缩小手术适应症
1、鼻翼肥厚宽大下垂者;
2、鼻翼过度外扩、造成鼻孔过大等不雅外观。
下列方法可上提并纠正其畸形:
(1)边缘切除法;
(2)鼻翼软骨外侧脚及中隔软骨下缘修整法;
(3)鼻翼衬里部分切除法。
(4)鼻翼上缩
(5)鼻翼肥厚鼻翼上缩多为先天畸形,易造成鼻小柱下垂之假象。
鼻翼缩小术固然是宽鼻者的求美之道,但是若有不慎,影响到鼻子的正常功能就得不偿失了。因此做这项手术一定要遵从它的原则,另外,未成年的患者最好等到成年之后再做手术。





